Milkweed and Monarchs

(Asclepia and Danaus plexippus)

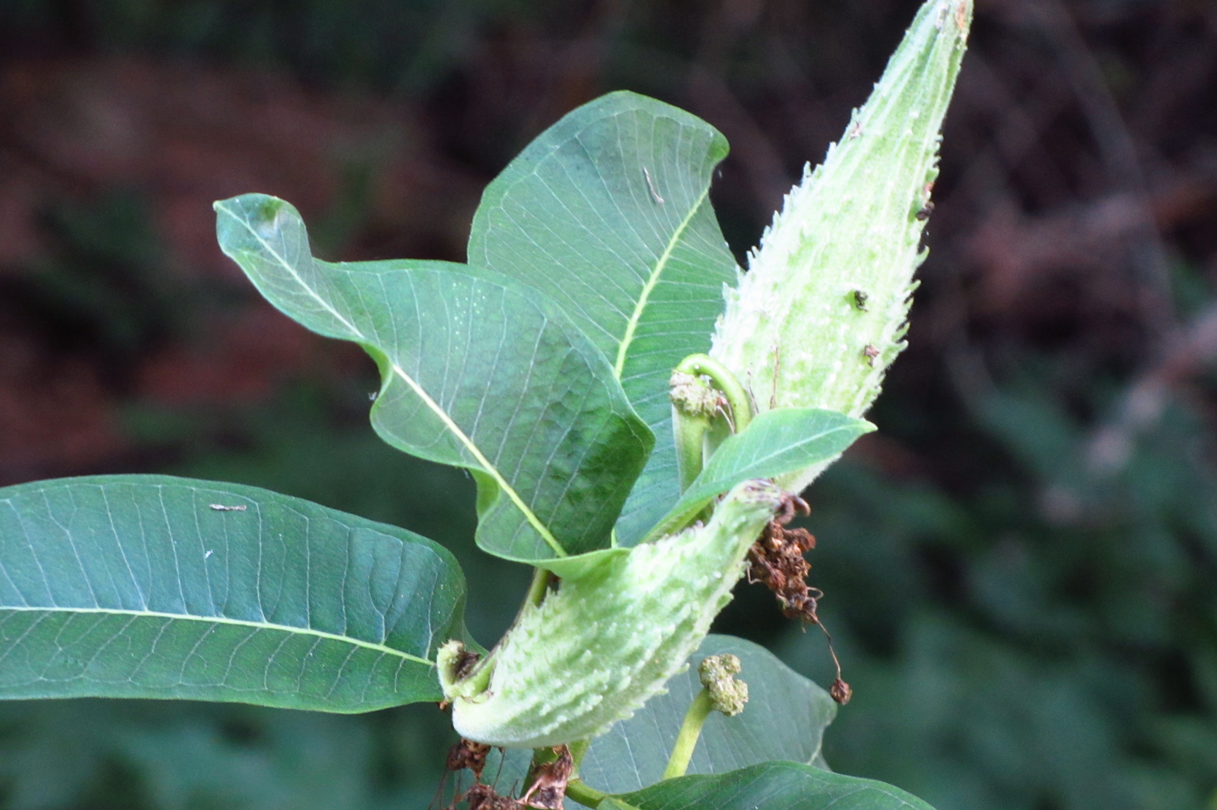
Milkweed plants grow to between 3 and 5 feet tall. They are often found along roadsides. If you break a stem of the plant, a milky white sap comes out. This is how the plant got its name.

Their seeds grow in pods about 1 inch wide and 4 inches long. In the fall, when the seeds are ripe, the outside of the pod dries out and it splits open. Each of the seeds has a small tuft which when blown by the wind can carry the seed far from the parent plant.

Milkweed plants are a favorite food for Monarch butterflies. Monarchs lay their eggs on the plants and when the caterpillars hatch, they eat the milkweed leaves. The caterpillars develop a nasty flavor from eating so much milkweed. This makes birds dislike them and avoid eating them.

Many butterflies were nearly wiped out because people used a pesticide called DDT to try to control insects that ate their crops. Monarchs didn't eat people's crops, but they were sprayed when farmers tried to kill other insects. DDT use is banned in our country, so butterflies are making a comeback.

Monarchs migrate a long distance every year, all the way from Mexico to Canada. Unfortunately, DDT is not banned in Mexico. Farmers in Mexico use it fairly often, sometimes wiping out whole colonies of Monarchs by accident.

Milkweed pod opening up in November

The milkweed marker in over 2 feet of snow

Go to Wetlands Trail home page